British Bugs
HOME A BIT ABOUT BUGS GALLERY SYSTEMATIC LISTS RECORDING BUGS CONTACT US LINKS

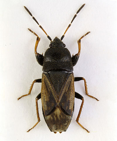
Megalonotus emarginatus
Family: Lygaeidae

Megalonotus species are medium-sized ground bugs in which the pronotum is covered with dense pubescence and is coarsely punctured, particularly across the posterior. The front femora bear a large tooth and several smaller ones.

In  M. emarginatus the pronotum is covered in long erect hairs, but the hind corners are protruberant and sharply-angled backwards (the hind margin of the pronotum is gently curved in the very similar M. chiragra.) The tibiae are also pale in M. emarginatus.

Locally common across southern Britain in a variety of dry habitats.

Adult: All year
Length 4.5-5.5 mm

Megalonotus emarginatus
Adult: Surrey (April 2010) ©Tristan Bantock

Megalonotus emarginatus Megalonotus emarginatus
Adult: Essex (July 2010) ©Tristan Bantock

Adult: Surrey (April 2010) ©Tristan Bantock