![]() |
||||||
| HOME | A BIT ABOUT BUGS | GALLERY | SYSTEMATIC LISTS | RECORDING BUGS | CONTACT US | LINKS |
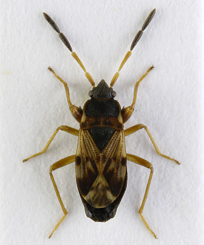
| Scolopostethus puberulus Family: Lygaeidae A difficult genus including some common species; all have one large and several small spines on the front femur. The sides of the pronotum are keeled and have a large and obvious pale spot just behind the middle. Underside characters are important in most species and specimens should be collected for reliable identification. In S. puberulus the 1st and 2nd antennal segments are entirely pale. The mesosternum (the area of the abdominal underside in front of the middle legs) lacks tubercles (see S. affinis). The rostrum is longer than in S. thomsoni, reaching the hind coxae and the dorsal surface is covered in short pubesence. Adults are usually macropterous. Widespread but local in fens. wet grasslands and generally much damper habitats than other Scolopostethus species. Compare: S. affinis, S. puberulus, S. grandis Adult: All year Length 3.5-4 mm |
![]() |
| Adult: Surrey (June 2010) ©Tristan
Bantock |