British Bugs
HOME A BIT ABOUT BUGS GALLERY SYSTEMATIC LISTS RECORDING BUGS CONTACT US LINKS

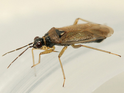
Dicyphus globulifer
Family: Miridae

Members of this genus can be difficult to identify using structural features, but general coloration and hostplant are often informative.

This species is
found on Red and White Campion throughout Britain and is always fully-winged. The short legs spines do not arise from black spots, and the antennae are entirely black. The scutellum has pale sides.

Specific structural characters:
- Length of 3rd antennal segment 
< head width across eyes
- Tibial spines tibial width

Compare: D. annulatus

Adult: All year
Length 3.5-4 mm 
Dicyphus globulifer
Adult: north London (April 2008) ©Tristan Bantock

Dicyphus globulifer Dicyphus globulifer
Adult: Lincs (October 2008) ©Michael Talbot Adult: north London (April 2008) ©Tristan Bantock