British Bugs
HOME A BIT ABOUT BUGS GALLERY SYSTEMATIC LISTS RECORDING BUGS CONTACT US LINKS

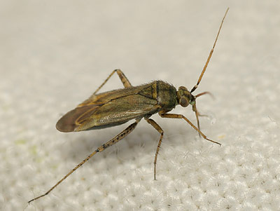
Plagiognathus chrysanthemi
Family: Miridae

A very common bug found throughout the UK on a range of plants in the Asteraceae, such as ragwort and yarrow. It is particularly common in dry grasslands and wastelands.

A fairly small greenish bug with a dense covering of dark hairs on the upper surface. The tibial spines are dark and set in black spots; the hind femora are pale but also dark-spotted. The antennal pattern is characteristic.

Compare:
Camplyomma verbasci, P. arbustorum

Adult: June-October
Length ~3.5 mm
Plagiognathus chrysanthemi
Adult: north London (June 2008) ©Tristan Bantock

Plagiognathus chrysanthemi Plagiognathus chrysanthemi
Adult: north London (June 2008) ©Tristan Bantock

Adult: north London (July 2008) ©Tristan Bantock
Plagiognathus chrysanthemi Plagiognathus chrysanthemi
Adult: north Wales (June 2008) ©Tristan Bantock Adult: north Wales (July 2008) ©Tristan Bantock