![]() |
||||||
| HOME | A BIT ABOUT BUGS | GALLERY | SYSTEMATIC LISTS | RECORDING BUGS | CONTACT US | LINKS |
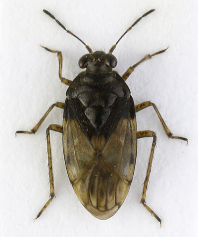
| Saldula pilosella Family: Saldidae This genus comprises 11 rather oval saldids which have an entirely dark pronotum and forewings which completely overlap. There are several very similar species which are often difficult to identify. S. pilosella has much of the forewings, pronotum and head covered in long, erect pubescence. It is very similar to S. setulosa, but this extremely rare species is only known from Poole Harbour in Britain and has not been recorded for many years. A saltmarsh species, found on the coasts of England between Yorkshire and Gloucestershire. Compare: S. saltatoria, S. palustris Adult: June-September Length 4.0 mm |
|
| Adult:
Norfolk (September 2019) ©Tristan
Bantock |