British Bugs
HOME A BIT ABOUT BUGS GALLERY SYSTEMATIC LISTS RECORDING BUGS CONTACT US LINKS

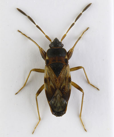
Scolopostethus grandis
Family: Lygaeidae

A difficult genus including some common species; all have one large and several small spines on the front femur. The sides of the pronotum are keeled and have a large and obvious pale spot just behind the middle. Underside characters are important in most species and specimens should be collected for reliable identification.

In S. grandis the
1st antennal segment is pale and the 2nd partly darkened. The mesosternum (the area of the abdominal underside in front of the middle legs) bears a pair of obvious curved tubercles in males and a pair of smaller inconspicuous tubercles in females (see S. affinis). These are usually very difficult to see in live specimens or photographs. Adults may be brachypterous or macropterous.

Common and widespread in leaf litter in various habitats; rarely taken by sweeping, unlike S. affinis and S. thomsoni.

Compare: S. affinis, S. thomsoni
, S. puberulus,

Adult: All year
Length 3.9-4.6 mm

Scolopostethus grandis
Adult: Essex (July 2017) ©Tristan Bantock


Scolopostethus grandis


Adult: London (April 2009) ©Tristan Bantock