British Bugs
HOME A BIT ABOUT BUGS GALLERY SYSTEMATIC LISTS RECORDING BUGS CONTACT US LINKS

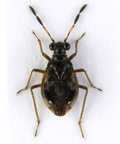
Chartoscirta cocksii
Family: Saldidae

This genus comprises three species which have concave sides to the pronotum. The pronotum also has a transverse furrow across its entire width.

C. cocksii is distinguished by the antennae, which have the 3rd and 4th segments thicker than the 1st and 2nd; the second segment is pale except for the base. The wing membrane is short (less than half the length of the corium, and slightly shorter than the abdomen), with long, erect pubescence.

A relatively scarce species among Sphagnum and tussocks in bogs across Britain, except for northern Scotland.

Compare C. elegantula, C. cincta

Adult: All year
Length 3.0-4.0 mm
Chartoscirta cocksii
Adult: south Wales (June 2015) ©Tristan Bantock

Chartoscirta cocksii Chartoscirta cocksii
Adult: Highland (June 2013) ©Tim Ransom
Adult: Dorset (July 2010) ©Mark Dunkling